販売物件検索

  • HOME
  • >
  • 物件検索

こんにちはゲスト
無料会員登録
メンバーログイン
来店予約申し込み

土地
池田市井口堂3丁目

価格 月々支払例 学校区 面積
5,080万円 143,402 石橋小
石橋中
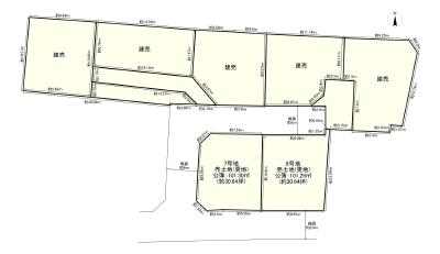
土地/101.3m²
物件検索画面へ戻る
外観 間取図
区画図

この物件のお支払い例

頭金0円/ボーナス払い0円
5,080 万円
143,402
※全額借入、35年返済、変動金利1%の場合
この物件へのお問い合わせはコチラ
来場予約おお申し込みはコチラ

物件概要

物件種別 土地
物件No. 59561
所在地 大阪府池田市井口堂3丁目
小学校区 石橋小学校 中学校区 石橋中学校
土地面積 101.3m²(30.64坪) 水道
ガス 排水
都市計画 市街化区域 用途地域 第一種住居
地目 宅地 土地権利 所有権
私道負担 地勢
セットバック 建ぺい率 70%
容積率 160% 現況 更地
引渡時期 相談     
交通 阪急宝塚本線石橋阪大前駅から徒歩12分
接道状況 北側:幅員4m 
情報登録日 2026年01月17日 前回登録・更新日 2026年02月02日
取扱店舗 株式会社ネクサスジャパン
大阪府池田市神田2-6-25
店舗情報を見る

お電話でのお問い合わせ

ネクサスジャパン
受付時間/10時~19時
定休日/水曜日
スマートフォンの方は電話番号をタップしてみて!

大阪府池田市井口堂3丁目
【物件No.】
59561
物件No.をお知らせください

自信を持ってお届け!スタッフいち押しオススメ物件
池田市井口堂3丁目
土地

住所:池田市井口堂
坪単価:-
土地面積:101.29m²
価格
4,980万円

頭金/ボーナス支払
0

月々返済
140,579


0800-222-6677
お問い合わせフォームはコチラ
来場予約はコチラ
無料メンバー登録はコチラ
2149 ご来店予約はコチラ
会員登録はコチラ
不動産売却
夢のマイホーム無料相談お家の相談窓口 あなたにピッタリのハウスメーカーや工務店をズバリご紹介します
詳細を見る